文章分類
- 盆栽教室(Bonsai class)
- 盆栽改作與履歷(Restructure & History)
- 盆鉢(Pot)
- 盆栽的第0課(Bonsai lesson 0)
- 盆栽影片 yutube
- 盆栽添配/木作(Accessory/Woody work)
- 盆栽席飾(Display)
- 天南地北(Chat)
- 盆栽樹種_楓(Acer)
- 盆栽樹種_朴樹(Celtis)
- 盆栽樹種_壽山娘(Premna)
- 盆栽樹種_黃槿(Hibiscus tiliaceus)
- 盆栽樹種_松(Pine)
- 盆栽樹種_磯山椒(Osteomeles)
- 盆栽樹種_榕樹(Ficus)
- 盆栽樹種_其他(Other)
- 豆型盆栽(Mini Bonsai)
- 泥作(Clay work)
- 盆栽與生活(Bonsai lifestyle)
- 展覽樹
- 販售商品
統計資料
- 今日參訪人數: 5
- 參訪人數: 74074
- 文章總數: 142
- 回應總數: 0
最新文章
木防己/青葛藤(Cocculus trilobus)_花果
- 文章分類: 盆栽樹種_其他(Other)
- 8/22/2016
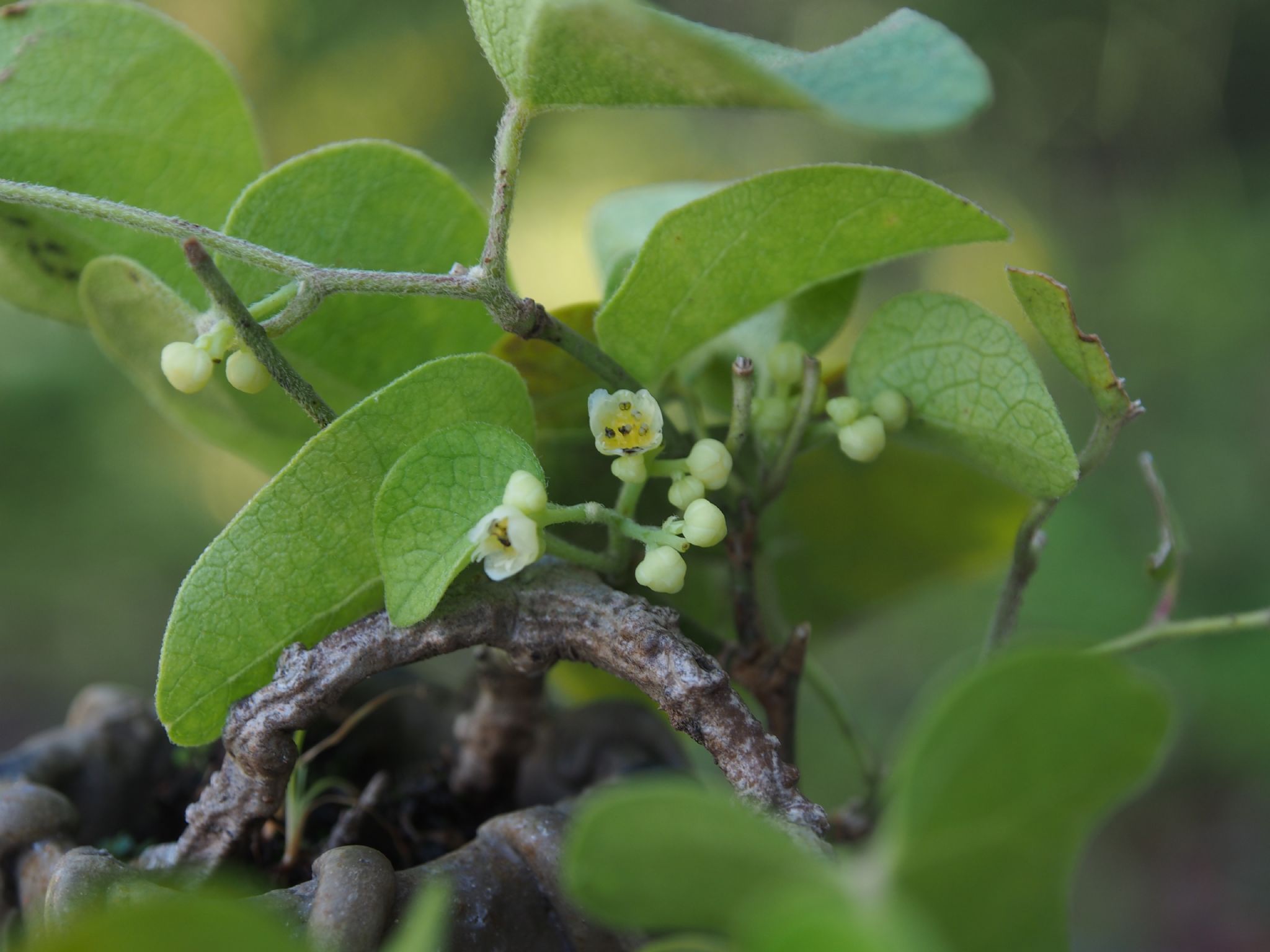
木防己(日文樹名青葛藤),盛夏(7~8月)開花結果,有公株母株之分, 需授粉母株才會結果,掛果期約一個月,果熟後呈藍色,有毒勿食,春季阡插一年枝可活,蔓藤常需修剪,六月前修剪之後放著即會開花,公母株一起放置授粉,很好的豆型盆栽樹種!
【公花】
![]()
![]()
![]()
【母花】
![]()
![]()
【結果初期】 2016/8/7
【結果中期】 2016/8/22
![]()
2016 9/15